조황관리HOME / 조황관리 / 상세정보

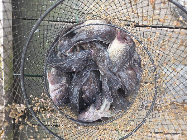
제목 : 2025년 11월 26일 해맞이좌대
등록일 : 2025-11-26





























=== 당진 왜목마을 낚시 예약안내 ===

예약문의 : 041-354-0324

오시는길 : 충남 당진시 석문면 왜목길51 해맞이마트
홈페이지 : http://waemok.sunsang24.com/

왜목마을 우럭, 광어, 도다리, 갑오징어, 쭈꾸미 낚시

Top